Προειδοποίηση καιρού στη Φλόριντα καθώς ο τυφώνας Melissa απειλεί τα παράκτια ύδατα μετά τις καταστροφικές επιπτώσεις της καταιγίδας στην Τζαμάικα

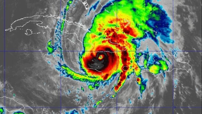
Προειδοποίηση για τροπική καταιγίδα έχει εκδοθεί στα ύδατα που περιβάλλουν περιοχές της Φλόριντα, καθώς ο τυφώνας Melissa κινείται βορειοανατολικά στον Ατλαντικό Ωκεανό. Η καταιγίδα, αυτή τη στιγμή βορειοανατολικά της Τζαμάικα, προκαλεί ισχυρούς ανέμους και θαλασσοταραχή που αναμένεται να επηρεάσουν το Panhandle και τη νοτιοανατολική ακτή της Φλόριντα. Οι συνθήκες καταιγίδας είναι πιθανές στα ύδατα του Ατλαντικού στα ανοιχτά της ανατολικής ακτής της Φλόριντα και στις βόρειες Μπαχάμες, με ανέμους 15 έως 20 mph το πρωί, που αυξάνονται στα 25 έως 30 mph το απόγευμα και οι θάλασσες αυξάνονται στα 5 έως 7 πόδια. Μικρές πλημμύρες θαλασσινού νερού αναμένονται σε περιοχές με χαμηλό υψόμετρο του Florida Keys, συμπεριλαμβανομένων των δρόμων, των οικόπεδων και ορισμένων αποχετεύσεων καταιγίδας. Οι βαρκάρηδες ενδέχεται να δουν μειωμένη απόσταση κάτω από σταθερές γέφυρες. Συνιστάται στους οδηγούς να μην επιχειρούν να περάσουν από πλημμυρισμένους δρόμους. Οι ναυτικοί θα πρέπει να παραμείνουν στο λιμάνι ή να αναζητήσουν ασφαλές λιμάνι, καθώς οι συνθήκες θα μπορούσαν να ανατρέψουν ή να καταστρέψουν τα πλοία και να μειώσουν την ορατότητα. Τα υπεράκτια ύδατα θα πληγούν από επίμονους ανέμους τροπικής καταιγίδας, θάλασσες κτιρίων και διάσπαρτες βροχές και μεμονωμένες καταιγίδες, σύμφωνα με το NWS. Η υπηρεσία προειδοποίησε επίσης τους ναυτικούς. ότι ενώ το κέντρο του τυφώνα Melissa θα παραμείνει ανατολικά της Φλόριντα, οι εξωτερικές ζώνες του θα παράγουν υψηλά κύματα και ισχυρούς ανέμους, που θα υποχωρήσουν σταδιακά το Σαββατοκύριακο. Το NWS προειδοποίησε ότι τμήματα της πολιτείας Sunshine θα μπορούσαν να αντιμετωπίσουν επικίνδυνες θαλάσσιες συνθήκες, όπως επικίνδυνο surf, ισχυρά ρεύματα ρήξης και ταραγμένα νερά κατά μήκος της ακτής Ο τυφώνας Melissa κατέστρεψε την Τζαμάικα όταν έπεσε στην ξηρά την Τρίτη. στην ενδοχώρα πάνω από την ανατολική Κούβα, συνεχίζει να πλήττει την περιοχή με καταστροφικούς ανέμους και έντονες βροχοπτώσεις. Η καταιγίδα έφτασε στην ξηρά κοντά στο Chivirico, στο Σαντιάγο ντε Κούβα, γύρω στις 3:10 π.μ., με εκτιμώμενους σταθερούς ανέμους 115 mph, ελαφρώς ασθενέστερους από προηγούμενες μετρήσεις των 120 mph, λόγω της αλληλεπίδρασης με το απόκρημνο έδαφος της Κούβας. Οι εξωτερικές ζώνες βροχοπτώσεων επηρεάζουν επίσης τμήματα της Αϊτής, των Μπαχάμες και των νησιών Turks and Caicos. Η Melissa κινείται βορειοανατολικά με 12 mph, καθοδηγούμενη από μια κοιλότητα ανώτερου επιπέδου πάνω από τις νοτιοανατολικές ΗΠΑ και μια υποτροπική κορυφογραμμή πάνω από τον κεντρικό Ατλαντικό. Ο τυφώνας αναμένεται να επιταχυνθεί βορειοανατολικά σήμερα, φέρνοντας τον πυρήνα του πάνω από τις νοτιοανατολικές και κεντρικές Μπαχάμες αργότερα μέσα στην ημέρα. Τα προγνωστικά μοντέλα έχουν προβλέψει ότι η Melissa θα περάσει δυτικά των Βερμούδων αργά την Πέμπτη και το βράδυ της Πέμπτης, διατηρώντας την ισχύ του τυφώνα κατά την πλησιέστερη προσέγγισή της. Η καταιγίδα αναμένεται να εξασθενήσει σταδιακά τις επόμενες ημέρες λόγω των ψυχρότερων νερών των ωκεανών, του ξηρότερου αέρα και της αυξανόμενης διάτμησης του ανέμου. Η καταιγίδα, αυτή τη στιγμή βορειοανατολικά της Τζαμάικα, προκαλεί ισχυρούς ανέμους και θαλασσοταραχή που αναμένεται να επηρεάσουν τα ύδατα του Panhandle και του Κόλπου της Φλόριντα, η Melissa είναι πιθανό να παραμείνει τυφώνας κοντά στις Βερμούδες, αλλά αναμένεται να χάσει τα τροπικά χαρακτηριστικά του και να γίνει εξωτροπικός κυκλώνας μέχρι την Παρασκευή το βράδυ ή νωρίς το Σάββατο. Το NWS εξέδωσε το Advisor, συμπεριλαμβανομένου του Floridaerpi για το Small Παραλία, Chokoloskee έως Bonita Beach, Flagler Beach μέχρι Jupiter Inlet και Charlotte Harbor, Pine Island Sound και Tampa Bay. Οι άνεμοι αναμένονται από 23 έως 29 mph με ριπές έως 29 mph και οι θάλασσες θα κυμαίνονται από 4 έως 8 πόδια μέχρι νωρίς την Παρασκευή. Αυτές οι συνθήκες είναι επικίνδυνες για τα μικρά σκάφη και οι άπειροι ναυτικοί συνιστώνται να μείνουν έξω από το νερό. Το NWS προειδοποίησε επίσης τους ντόπιους για επικίνδυνα ρεύματα κατά μήκος των παράκτιων κομητειών Collier, Palm Beach, Broward, Indian River, Saint Lucie, Martin και των νότιων νομών Brevard. Τα ρεύματα σχισίματος μπορούν να τραβήξουν ακόμη και ισχυρούς κολυμβητές σε βαθύτερα νερά. Οι επισκέπτες της παραλίας θα πρέπει να κολυμπούν κοντά σε ναυαγοσώστες και να ακολουθούν τις αναρτημένες προειδοποιήσεις. Αν πιαστεί σε ρεύμα σχισμής, κολυμπήστε παράλληλα με την ακτή μέχρι να απελευθερωθείτε. Μέχρι το πρωί της Τετάρτης, μεμονωμένες βροχές θα κινηθούν νότια προς νοτιοδυτικά στα ύδατα νότια του Κις στα 6 με 12 mph. Οι ισχυρότερες ζώνες βροχής μπορεί να φέρουν ριπές κοντά στα 23 mph, ισχυρές βροχοπτώσεις και μειωμένη ορατότητα.
Δημοσιεύτηκε: 2025-10-29 13:38:00
πηγή: www.dailymail.co.uk









